Nearly all of Jamaica is without power and the entire island has been declared a “disaster area” after Hurricane Melissa ripped down power lines and caused widespread flooding.
The slow-moving category 5 hurricane, one of the strongest Atlantic hurricanes in history, made landfall on Tuesday with 185mph winds. Three people died making preparations for the storm, but there have been no confirmed fatalities on the island since it hit.
More than 77 per cent of the island was without electricity on Wednesday.
Several hospitals and homes, particularly in Saint Elizabeth and Montego Bay, have sustained significant damage, as three mothers gave birth to “Melissa babies” during the hurricane.
Up to 8,000 British citizens are currently in Jamaica, either living there temporarily or visiting on holiday, amid Hurricane Melissa. All airports are closed, leaving many stranded.
The UK Government has provided £2.5 million in emergency humanitarian funding to support the Caribbean region’s recovery. The aid package includes the rapid delivery of shelter kits, water filters, and blankets to help prevent injury and disease outbreaks, the government said.
In Haiti, 25 people were killed and dozens of homes destroyed when a river overflowed in Petit-Goâve.
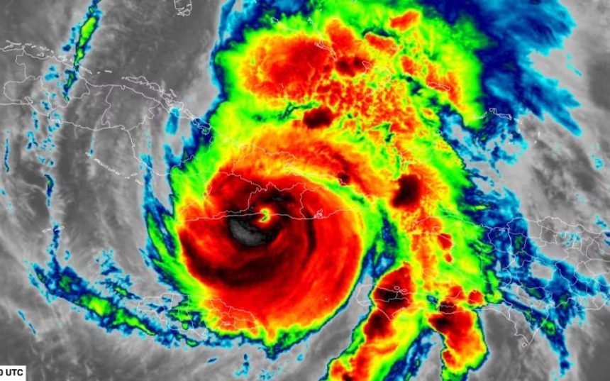
Meanwhile, Cuba has been hit with 120mph winds, forcing the evacuation of over 735,000 people, with the government warning of a “very difficult night” and urging citizens to remain sheltered.
Andrew Holness, Jamaica’s prime minister, on Wednesday reassured citizens that the government was fully mobilised to respond to the devastation, adding that there were still no confirmed reports of deaths.
“And we are thankful for that,” he wrote on social media, acknowledging the scale of destruction across the island, particularly in the west.
“We know many of you are hurting, uncertain, and anxious after Hurricane Melissa, but please know that you are not alone. Our teams are on the ground working tirelessly to rescue, restore, and bring relief where it’s needed most.”
06:14pm
That’s all for now
Thank you for following today’s live coverage.
05:44pm
Jamaican PM: ‘We will rebuild, we will recover’
Andrew Holness, Jamaica’s prime minister, has issued a new statement reassuring citizens that the government is fully mobilised to respond to the devastation left by Hurricane Melissa.
Holness said there are still no confirmed reports of deaths. “And we are thankful for that,” he wrote on social media.
He acknowledged, however, the scale of destruction across the island, particularly in the west.
“We know many of you are hurting, uncertain, and anxious after Hurricane Melissa, but please know that you are not alone. Our teams are on the ground working tirelessly to rescue, restore, and bring relief where it’s needed most.”
Holness said relief supplies are being prepared and that efforts to restore power and communication are ongoing.
“To every Jamaican, hold strong. We will rebuild, we will recover,” he said.
05:06pm
Pictured: Much of Jamaica without power or phone service
Residents walk through Santa Cruz, Jamaica, after Hurricane Melissa passed and left a trail of devastation – AP
04:54pm
US Sends Rescue Teams to Caribbean After Hurricane Melissa
American rescue and response teams are heading to the Caribbean, along with critical lifesaving supplies, after Hurricane Melissa struck the region, said the US Secretary of state.
Marco Rubio said the US has been in close contact with Jamaica, Haiti, the Dominican Republic, and The Bahamas as they face the storm’s “devastating impacts.”
“We have rescue and response teams heading to affected areas along with critical lifesaving supplies,” he wrote on X.
“Our prayers are with the people of the Caribbean,” he added.
04:29pm
Pictures: Residents clear fallen trees and restore power in Jamaica
Hurricane Melissa tore through Jamaica on Tuesday, uprooting trees, knocking out power, and inundating the island with heavy rains that threaten flash floods and landslides – AFP
03:53pm
Hurricane weakens after battering Cuba and Jamaica
Hurricane Melissa has moved offshore of eastern Cuba into the southwestern Atlantic, the US National Hurricane Centre has said.
Maximum sustained winds have dropped to 100mph. When Melissa struck Jamaica yesterday, it brought winds of 185mph, making it one of the strongest tropical cyclones ever recorded in the Atlantic basin.
The storm is now forecast to head toward the Bahamas, with authorities there preparing for impact.
03:28pm
More than 77 per cent of Jamaica without power
More than two thirds of Jamaica remains without electricity following Hurricane Melissa, the country’s information minister has said.
The least affected areas include St Thomas, St Catherine, and parts of Kingston and St Andrew, Dr Dana Morris Dixon told a news conference, adding that Montego Bay, which suffered a direct hit, has been particularly difficult to assess due to slow communication.
Significant damage has been reported across the island. Authorities are working to restore operations at airports, with hopes of reopening Norman Manley International Airport near Kingston by Wednesday, said Dr Dixon.
There is currently no update on conditions at the airport in Montego Bay.
03:16pm
Three ‘Melissa babies’ delivered during storm
Several mothers in Jamaica gave birth as Hurricane Melissa swept across the island, a local government minister has said.
“There is a Melissa baby. A Melissa baby. We want to commend the team who responded to that,” Desmond McKenzie told a news conference.
He added that two other deliveries also took place, with one mother resting comfortably and another remaining under observation.
“We are a great country and despite our challenges, we rise to the occasion,” he said.
03:04pm
25 people killed by flooded river in southern Haiti
The mayor of a southern Haitian coastal town told The Associated Press that 25 people died after a river burst its banks and flooded nearby homes.
Jean Bertrand Subrème said dozens of homes in Petit-Goâve collapsed, and people were still trapped under rubble as of Wednesday morning.
“I am overwhelmed by the situation,” said Mr Subrème, as he pleaded with the government to help rescue victims.
Only one official from Haiti’s Civil Protection Agency was in the area, with residents struggling to evacuate amid heavy floodwaters unleashed by Hurricane Melissa in recent days.
02:42pm
Hurricane Melissa leaves ‘considerable damage’ in Cuba, says president
Hurricane Melissa struck Cuba on Thursday morning with winds of 115mph and heavy rain, before moving across the island and making its way into the southwestern Atlantic.
Miguel Díaz-Canel, Cuba’s president, said the storm caused “considerable damage” but praised the country’s preparedness for a worst-case scenario.
“I ask our people not to let their guard down, to maintain discipline and continue well protected,” wrote on X.
Authorities continue to assess the impact as recovery efforts get underway.
02:15pm
Watch: Severe flooding hits Jamaica
01:54pm
UK to send £2.5 million to Caribbean
The UK Government is mobilising £2.5m in emergency humanitarian funding to support the Caribbean region’s recovery from the devastation caused by Hurricane Melissa.
The aid package includes the rapid delivery of shelter kits, water filters, and blankets to help prevent injury and disease outbreaks, the government said.
Emergency supplies had been positioned in Antigua to allow swift deployment to affected areas, it said, adding that British humanitarian and technical experts were being deployed to the region to assist with the coordination and delivery of aid.
01:23pm
Cuba suffers ‘extensive damage’ from hurricane, says president
Miguel Diaz-Canel, Cuba’s president, said that Hurricane Melissa had wrought “extensive damage” after it made landfall overnight on the island nation’s southern coast.
“It has been a very difficult early morning,” Mr Diaz-Canel said on social media. “Extensive damage, and Hurricane Melissa is still over Cuban territory. “I urge our people not to let their guard down, to maintain discipline, and to remain safely sheltered.”
The hurricane weakened to a category 2 storm as it passed through the island after pummelling Jamaica as one of the strongest Atlantic storms on record.
It is forecast to soon move away from Cuba five hours after making landfall this morning towards the islands of the central Bahamas.
01:14pm
Pictured: Locals survey the damage to roads in Jamaica
A police officer inspects a car damaged by a fallen tree after the passage of Hurricane Melissa in Manchester, Jamaica – AFP
The hurricane swept slowly across Jamaica on Tuesday, battering the island with torrential rain and wind – REUTERS
12:31pm
Melissa most powerful hurricane to make landfall in 90 years
Hurricane Melissa tied the 1935 record for the most intense storm ever to make landfall when it battered Jamaica on Tuesday, according to meteorological data.
The Labor Day Hurricane devastated the Florida Keys 90 years ago with winds approaching 186mph and an atmospheric pressure of 892 millibars – a record combination equalled by Melissa, according to the data analysed by AFP.
12:14pm
‘Scenes of destruction are shocking’, says Starmer as UK sends warship
b’
‘
Sir Keir Starmer said HMS Trent and rapid deployment teams have been deployed to Jamaica and are standing ready to help.
He said: “The scenes of destruction emerging from Jamaica are truly shocking.
“Both the Foreign Secretary and I have been in close contact with our Jamaican counterpart in recent days to offer the UK’s full support.”
12:01pm
Dawn has broken in Jamaica, damage to become clearer
Dawn has broken in Jamaica where it is now 7am and the true scale of damage from Hurricane Melissa is about to become clearer.
Information overnight has been fairly scarce and casualty numbers are unknown.
11:23am
Watch: Flooding cripples rescue efforts in Jamaica
11:07am
Red Cross: Melissa is an ‘unprecedented catastrophe’
The full extent of the devastation caused by Hurricane Melissa in Jamaica is still unknown, however the Red Cross has said early reports suggest it is an “unprecedented catastrophe”.
Many of the worst-hit communities are still cut off from the outside world due to dangerous conditions hampering rescue efforts and a loss of power and communications.
Alexander Pendry, British Red Cross Global Response Manager, said: “We’re waiting for dawn to break in Jamaica so that teams can assess the full extent of the damage, but early indications are that Hurricane Melissa was a disaster of unprecedented catastrophe for the island.
“News is already coming through that whole communities are under water and that the damage left by the strong winds has been devastating.”
He added that the impact of the storm, one of the worst to ever hit the Caribbean, is expected to be “shattering and long lasting”.
Andrew Holness, Jamaica’s prime minister, earlier said that the loss of life was likely.
10:49am
Melissa churns through the Caribbean – follow live tracker
10:46am
‘State of alert’ across Cuba
Hurricane Melissa hit the island with winds of up to 120mph, after fluctuating between category 3 and category 5, the highest on the scale.
Cuban residents fled the coast as it approached, with local authorities declaring a “state of alert” in six eastern provinces.
Residents said they had been stockpiling food, candles, and batteries since Monday.
“We bought bread, spaghetti, and ground beef. This cyclone is serious, but we’ll get through it,” Graciela Lamaison told AFP in Santiago de Cuba.
Authorities in Haiti, east of Cuba, ordered the closure of schools, businesses and government offices on Wednesday.
Cuban authorities reported that some 735,000 people have been evacuated so far.
“It will be a very difficult night for all of Cuba, but we will recover,” Miguel Diaz-Canel, Cuba’s president, told the population.
10:09am
Pictured: Damage in the Dominican Republic
People fix a roof in Barahona, Dominican Republic after days of strong winds and torrential rain – AFP
A man rides his motorbike through flooded waters in Barahona – AFP
09:34am
Bahamas evacuates as it braces for Melissa
Hurricane Melissa is crawling closer to the central and southeastern Bahamas, with conditions forecast to deteriorate rapidly.
Evacuation orders have been issued for six islands, with widespread flooding and possible eight foot storm surge, the statement said.
“The time for preparation has now come to an end,” Leon Lundy, s state minister, said in a news conference on Tuesday, as he urged the public to seek shelter immediately.
09:07am
Pictured: Communities ‘underwater’ in Jamaica
In southwestern Jamaica, the parish of St Elizabeth was left “underwater,” an official said, with more than 500,000 residents without power.
A “a number of families” are trapped in their homes, a government minister reported, with rescue workers struggling to reach those in need because of dangerous conditions.
The flooded streets of St Elizabeth where families are reportedly trapped in their homes – X / @DaRealBigDon
09:02am
Melissa brings ‘damaging winds and dangerous storm surge’
Melissa is bringing “damaging winds, flooding rains, and dangerous storm surge” as it moves over eastern Cuba, US forecasters said.
The continuing intense rain could cause life-threatening flooding with numerous landslides, according to the National Hurricane Center.
Hundreds of thousands were evacuated to shelters ahead of its arrival.
08:14am
Roads run with water after Hurricane Melissa swept across Jamaica
Credit: Social Media
08:06am
Melissa to batter Cuba for the next six hours
Hurricane Melissa is currently battering the east coast of Cuba with strong winds after making landfall just after 3am local time (7am GMT).
“Extremely dangerous hurricane Melissa makes landfall on southern coast of eastern Cuba,” the National Hurricane Center (NHC) said in an updated advisory.
Forecasts estimate it will take the storm around six hours to pass over the country, subjecting it to torrential rains and storm surge before heading up towards the Bahamas and near Bermuda.
07:44am
Watch: Melissa’s path of destruction in Jamaica
07:24am
Melissa makes landfall in Cuba with 120mph winds
Hurricane Melissa makes landfall on south coast of eastern Cuba as a Category 3 storm.
Melissa was located about 60 miles southwest of Guantanamo with maximum sustained winds of 120 mph, the US National Hurricane Center (NHC) said in its latest advisory.
Cuban authorities said some 500,000 people had been ordered to move to higher ground prior to the storm’s arrival.
07:15am
What is the latest?
After making landfall in Jamaica as one of the most powerful hurricanes on record and bringing widespread destruction, Melissa started to weaken.
Yet, once it cleared the north coast of the island overnight, it was once again fuelled by the energy of the unusually warm Caribbean waters and re-intensified into a category 4 hurricane.
As it curved to the north-east on a trajectory toward Santiago de Cuba, Cuba’s second-most populous city, it reduced into a category 3 storm with sustained winds of 125mph – making it one of the worst storms to hit the nation since Irma in 2017.
Cubans have been told to “prepare for the worst” after US meteorologists warned Melissa will make landfall as an“extremely dangerous major hurricane”.
After ripping through Cuba, the storm is expected to pick up speed but lose strength as it churns towards the Bahamas later today and then Bermuda on Thursday as a category 1 hurricane.
06:58am
Melissa weakens to category 3 before reaching Cuba
Hurricane Melissa weakened to a category 3 storm before reaching Cuba this morning.
“Melissa is expected to remain a powerful hurricane when it moves across Cuba and the Bahamas and passes near Bermuda,” the US National Hurricane Center said in its latest advisory.
It is bringing up to 125mph winds and inching closer to Cuba’s east coast.
A woman walks in a rain-soaked street before Hurricane Melissa hits the city of Santiago de Cuba – YAMIL LAGE / AFP
06:46am
‘Prepare for the worst’, Cubans warned
Hurricane Melissa is now barrelling towards Cuba, where it was expected to make landfall as a major storm this morning
Miguel Diaz-Canel, the country’s president, has warned the public it is a “hurricane of great magnitude”.
“It is considered right now by its characteristics as one of the most severe hurricanes or perhaps the strongest that has passed through the national territory,” he told the nation.
05:02am
Hurricane Melissa upgraded to category 4 hurricane again
Hurricane Melissa has re-strengthened to a Category 4 hurricane as it approaches eastern Cuba, the National Hurricane Center (NHC) said in its latest advisory. It is expected to make landfall in Cuba at 2am, local time, on Wednesday.
The storm took hours to cross over Jamaica, a passage over land that diminished its winds, dropping down to a Category 3 from Category 5, before ramping back up. At its peak, the storm packed ferocious sustained winds of 185 miles per hour.
“Melissa is expected to remain a powerful hurricane when it moves across Cuba, the Bahamas, and near Bermuda,” the NHC said, adding Melissa is expected to make landfall in Cuba “as an extremely dangerous major hurricane in the next few hours.”
Waves batter the shoreline in Santiago de Cuba – Norlys Perez
Bermuda is already bracing for the storm’s destruction.
Like other Caribbean islands, the self-governing British Overseas Territory, located 650 miles east of the US state of North Carolina, has a hurricane season each year, but the storms rarely cause significant damage.
However, Bermudian authorities say that “this one is different”.
Michael Weeks, the territory’s minister of national security, told The Royal Gazette that Bermuda “cannot afford to take this lightly”.
“It is strong, it is moving our way and if we let our guard down, it could catch us off-guard like storms have done before,” Mr Weeks said.
04:40am
Jamaica’s prime minister declares island a ‘disaster area’
Jamaica’s prime minister has warned that his island is a “disaster area” after Hurricane Melissa ripped a path of destruction on Tuesday.
The storm, one of the most powerful hurricanes on record, made landfall on Tuesday afternoon and lashed the island nation with brutal winds and torrential rain.
Authorities warned residents to remain sheltered amid severe risks of floods and landslides.
It is not known if anyone has been killed – but Andrew Holness, Jamaica’s prime minister, said casualties are likely.
“Reports that we have had so far would include damage to hospitals, significant damage to residential property, housing and commercial property as well,” Mr Holness told CNN.
Credit: Jamaica Constabulary Force
He said the government has not received reports of storm-related deaths but said he is “expecting that there would be some loss of life”.
The scale of Melissa’s damage in Jamaica was not yet clear, as a comprehensive assessment could take days and much of the island was still without power, with communications networks badly disrupted.
‘The damage is extensive’
At its peak, the storm – which has moved north and is set to hit Cuba on Wednesday – packed ferocious sustained winds of 185 mph.
Desmond McKenzie, a government minister, said several hospitals had been damaged, including in the hard-hit southwestern district of Saint Elizabeth, a coastal area he said was “underwater”.
“The damage to Saint Elizabeth is extensive, based on what we have seen,” he told a briefing.
“Saint Elizabeth is the bread basket of the country, and that has taken a beating. The entire Jamaica has felt the brunt of Melissa.”
The hurricane was the worst to ever strike Jamaica, hitting land with maximum wind speeds even more potent than most of recent history’s most brutal storms, including 2005’s Katrina, which ravaged the US city of New Orleans.
04:28am
In pictures: Cuba residents brace for hurricane’s arrival
People gather at a school turned shelter – Patrice Noel
People carry their belongings to shelters ahead of Hurricane Melissa in Cuba – Alexandre Meneghini
Residents are evacuated and taken to safe locations in Santiago, Cuba – Yamil Lage
04:18am
Cuban president urges citizens to ‘act responsibly’
Cuba’s president Miguel Díaz-Canel Bermúdez has urged citizens to “act responsibly” as Hurricane Melissa barrels toward the country.
“It is essential that no one venture to bathe in swollen rivers. No one should return from evacuation sites to their homes or residences until instructions have been given to return or enter the recovery phase in each of the territories,” he told Cuba’s state newspaper, Granma.
The Cuban president said he has mobilised the country’s civil defence to aid recovery efforts and restore water, communications and electricity.
03:54am
Cuba braces for impact
Cubans are bracing for a strengthening Hurricane Melissa which is due to make landfall on the island.
The storm, one of the largest in history, has battered Jamaica overnight, causing extensive damage and forcing thousands of people to evacuate their homes.
Cuba’s president has warned of a “difficult night” ahead for his country.
President Miguel Díaz-Canel Bermúdez said on X that more than 735,000 people have been evacuated due to the storm.
“It will be a very difficult night for all of Cuba, but we will recover, always with the faith in victory that Fidel and Raúl instilled in us,” he said.
Men cover a car to protect it from Hurricane Melissa as the storm churns towards Santiago de Cuba – REUTERS
 
					 
			 
					 
                                
                             
 
		 
		 
		